species
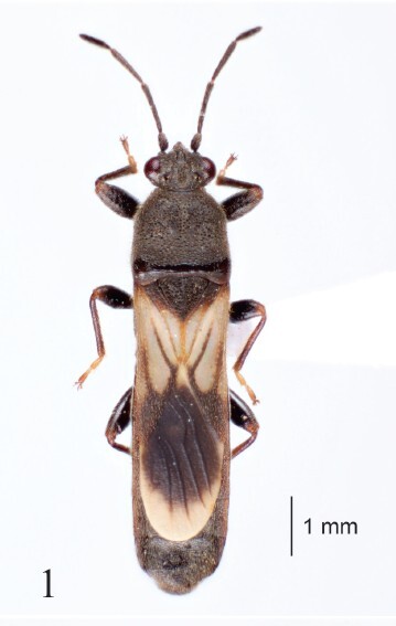
Ischnodemus pilcomayo Dellapé & Melo, 2025
Nomenclature (1)
- Ischnodemus pilcomayo Dellapé & Melo, 2025: 210-213.
Holotype; MLP11000; deposited at: Museo de La Plata (MLP); ARGENTINA, Formosa Prov., P. N. Río Pilcomayo, mirador, | -25.0151792 -58.1306691, 9/X/2023, P. Dellapé col.
Nomenclature references (1)
- Dellapé, P.M. & Melo, M.C. (2025) Ischnodemus pilcomayo, a New Species from Argentina, and Description of the Male of I. pullus Slater and Wilcox (Hemiptera: Heteroptera: Blissidae). Journal of the International Heteropterist' Society, 2(4), 209–218. https://doi.org/10.11646/jihs.2.4.1
Descendants and synonyms
Stats
| Valid names | |||||
|---|---|---|---|---|---|
| Rank | Extant | Fossil | Invalid | Total | |
| species | 1 | 0 | 0 | 1 | |
